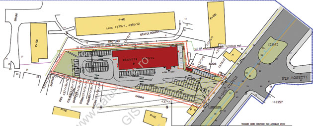
Penny Market se poate apuca de treabă pentru a construi al treilea magazin în Satu Mare după cele existente deja pe bulevardele Henri Coandă și Lucian Blaga. Consiliul Local Satu Mare a aprobat, în cadrul ședinței de ieri, documentația depusă de reprezentanții firmei pentru elaborarea Planului Urbanistic Zonal. Noul magazin Penny Market, care va avea carmangerie, accese auto și pietonale, trotuare, sistematizare verticală, reclame de fațadă și în parcare, pilon publicitar, împrejmuire, branșamente la utilități va fi construit pe bulevardul Cloșca nr.47, în imediata vecinătate a sensului giratoriu de lângă Liceul Eliza Zamfirescu (MIU). Dacă lucrurile merg bine, noul magazin Penny ar putea fi inaugurat până la toamnă.




















